No.1
江別市向ヶ丘角地(建築条件付土地)
販売価格 : 1,240万円
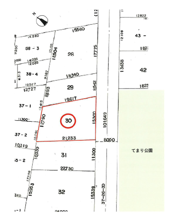
土地面積 : 160.84m²(48.65坪)
JR徒歩圏、買い物、郵便局、病院、役所、学校、文化施設、公園など点在する暮らしやすい環境です。
JR函館本線「高砂」駅 徒歩11分
江別市役所 徒歩3分 / 夜間救急センター 徒歩10分
- 交通機関
- JR函館本線「高砂」駅 徒歩11分
- 教育機関
- 江別市立中央小学校 徒歩9分
- 江別市立中央中学校 徒歩25分
- 認定こども園元江別わかば幼稚園 徒歩7分
- 商業施設
- ホクレンショップ元江別店 徒歩8分
- ビッグハウス元江別店 徒歩10分
- ツルハドラッグ江別牧場店 徒歩12分
- 江別蔦屋書店 徒歩15分
- イオンシネマ江別 徒歩17分
- 公共施設
- 江別市役所 徒歩3分
- 江別西郵便局 徒歩2分
- 江別市市民病院 徒歩12分
- 夜間救急センター 徒歩10分
土地概要
| 販売価格 | 1,240万円 |
|---|---|
| 土地面積 | 160.81m²(48.64坪) |
| 所在地 | 江別市向ヶ丘22番9 |
| 学校区 | 江別市立中央小学校/江別市立中央中学校 |
| 建ぺい率・容積率 | 60% / 200% |
| 接道状況 | 北西側公道8m、及び南西側公道8m |
| 他の法令上の制限 | 法22条区域、景観計画区域 |
| 設備 | 電気:北海道電力 上下水道:江別市 ガス:都市ガス(前面道路) |
| 条件等 | 建築条件付き(土地契約後、売主と建物請負契約が締結されない場合、土地契約は解除されます。) |








































